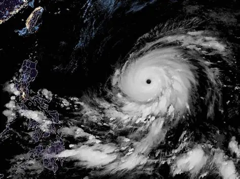
Tropical Cyclone News Today Philippines: Real-Time Updates and Safety Measures Oct 26, 2025 by sorusgentrification.com 46 views